こんばんは。
今日も暑い日でしたね。
今回は、「気管虚脱」という病気についてご紹介いたします。
中高齢のワンちゃんに多い病気で、気管の一部がおしつぶされた様に変形することで
咳や呼吸困難を引き起こす病気です。
![]() |
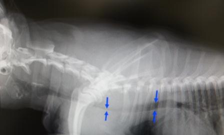
ワンちゃんの胸の側面からのレントゲン写真です。 矢印で示される黒く抜けた部分が気管です。 正常であれば気管の幅は常に一定です。 しかし、このワンちゃんは左側の矢印で示される部分の 幅が右側より細くなり、気管が変形していることが分かります。 |
気管虚脱のワンちゃんは空咳をしたり、「ガーガー」という喉鳴りがすることで気づかれることが
多いです。特に興奮後に多くみられます。
息遣い(呼吸)が荒くなると、変形して細くなっている気管に強い刺激が与えられることで症状が
悪化します。咳の回数が増えることが多いですが、中には気管がつぶれ窒息してしまうことも
あります。
気温が高く、またイベントも多いこの夏の時期は、ワンちゃんの呼吸も荒くなりやすいため、注意が必要です。普段からよく空咳をしたり、喉鳴りがするワンちゃんは、暑さ対策やなるべく興奮しない環境を作り、症状の悪化に注意してあげて下さい。
≪獣医師 大島≫

0 件のコメント:
コメントを投稿